令和8年3月13日04時13分 和歌山地方気象台 発表
北部乾燥,霜
南部強風,波浪,乾燥,霜
南部では、強風や高波に注意してください。和歌山県では、乾燥や霜に
対する農作物の管理に注意してください。
紀北 (継続)乾燥注意報、(継続)霜注意報
紀中 (継続)乾燥注意報、(継続)霜注意報
田辺・西牟婁 (発表)波浪注意報、(継続)強風注意報、(継続)乾燥注意報、
(継続)霜注意報
新宮・東牟婁 (発表)波浪注意報、(継続)強風注意報、(継続)乾燥注意報、
(継続)霜注意報
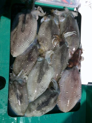
平良丸の釣果情報
- 2026年3月12日(木)
| 魚種 | 匹数 | 大きさ | 重さ | 特記 | ポイント | |
|---|---|---|---|---|---|---|
| 1 | モンゴウイカ | 船中 24匹 | 0.8~1.2 kg | 美浜沖 | ||
| スミイカ | 船中 2匹 | 0.2 kg |
【波】0.5m
【水温】15.5℃
1午前・2人の釣果。今日は風裏の浅場でやったので、波も無くアタリも多くて楽しめました。
- 2026年3月9日(月)
| 魚種 | 匹数 | 大きさ | 重さ | 特記 | ポイント | |
|---|---|---|---|---|---|---|
| 1 | モンゴウイカ・スミイカ | 船中 6匹 | 0.3~1.2 kg | 日の岬沖 |
【波】1.5m
【水温】16.3℃
1午前・2人の釣果。思っていたより風も強く、潮も動かなくて渋かったです。
- 2026年3月8日(日)
| 魚種 | 匹数 | 大きさ | 重さ | 特記 | ポイント | |
|---|---|---|---|---|---|---|
| 1 | モンゴウイカ・スミイカ | 7 匹 | 0.3~1.2 kg | 美浜沖 |
【波】1.5m
【水温】16.6℃
1午前の釣果。余り潮も動かず、風も強くて残念ながら釣果も悪かったです。明日はお天気も良いので明日に期待!
- 2026年3月6日(金)
| 魚種 | 匹数 | 大きさ | 重さ | 特記 | ポイント | |
|---|---|---|---|---|---|---|
| 1 | モンゴウイカ・スミイカ | 船中 29匹 | 0.2~1.7 kg | 日の岬沖 |
【波】ナギ
【水温】17℃
1午前の釣果。朝の内はボチボチ釣れて大型のモンゴウイカも上がりましたが、下り潮になってからはアタリも無くなりました。
- 2026年3月2日(月)
| 魚種 | 匹数 | 大きさ | 重さ | 特記 | ポイント | |
|---|---|---|---|---|---|---|
| 1 | モンゴウイカ・スミイカ | 船中 24匹 | 0.2~1.7 kg | 日の岬沖 |
【波】1.0m
【水温】16.7℃
1午前の釣果。バラシもありましたが、大型モンゴウイカも上がりました。
平良丸のニュース
平良丸の店舗情報
| 施設名 | 平良丸(タイラマル) |
|---|---|
| 電話番号 | 0738-23-3789 |
| 住所 | 〒644-0043 和歌山県日高郡美浜町吉原814 |
| リンク | 施設のサイトへ |
| サービス |
|
| 設備 | |
| 紹介文 | |
| 営業時間 | |
| 定休日 | なし |
| 氷 | 有り(無料) |
| 割引(サービス) | なし |
| 釣り座の選定 | 予約順 |
| 宿泊施設 | なし |
| 釣具レンタル | なし |
| 駐車場 | 有り(無料) |
注:出船時間や消費税変更等に伴う料金の変更がなされている場合がございます。
詳細については、お電話【0738-23-3789】でお問い合わせください。
平良丸での釣行の流れ
平良丸の
1日の流れはありません。
平良丸の施設写真
平良丸へのアクセス
大阪方面から阪和自動車道御坊IC~R42で白浜に向かって南下し、体育館前→市役所北→大浜通り→松原通りの各交差点を過ぎ次の交差点の名屋町北3を右折。
JR御坊駅からタクシー約10分。
平良丸での釣行プラン・料金
| 便 名 | 対象魚 | 料 金 | 1 | 2 | 3 | 4 | 5 | 6 | 7 | 8 | 9 | 10 | 11 | 12 | 備考 |
|---|---|---|---|---|---|---|---|---|---|---|---|---|---|---|---|
| チヌ・マダイ・チダイ・カワハギ | チヌ マダイ チダイ カワハギ |
2012-10-30 19:40:45 | |||||||||||||
| イサギ・アジ・スルメイカ | イサギ アジ スルメイカ |
2012-10-30 19:40:45 | |||||||||||||
| マダイ・カンパチ・ハマチ | マダイ カンパチ ハマチ |
2012-10-30 19:40:45 |
平良丸周辺の天気
美浜 1時間毎の天気
| 日付 |
|---|
| 時間 |
| 天気 |
| 気温 |
| 雨量 |
| 風向き |
| 風速 |
| 波向 |
| 波高 |
| 3月12日(木) | 3月13日(金) | 3月14日(土) | ||||||||||||||||||||||||||||||||||||||||
|---|---|---|---|---|---|---|---|---|---|---|---|---|---|---|---|---|---|---|---|---|---|---|---|---|---|---|---|---|---|---|---|---|---|---|---|---|---|---|---|---|---|---|
| 18 時 | 19 時 | 20 時 | 21 時 | 22 時 | 23 時 | 0 時 | 1 時 | 2 時 | 3 時 | 4 時 | 5 時 | 6 時 | 7 時 | 8 時 | 9 時 | 10 時 | 11 時 | 12 時 | 13 時 | 14 時 | 15 時 | 16 時 | 17 時 | 18 時 | 19 時 | 20 時 | 21 時 | 22 時 | 23 時 | 0 時 | 1 時 | 2 時 | 3 時 | 4 時 | 5 時 | 6 時 | 7 時 | 8 時 | 9 時 | 10 時 | 11 時 | 12 時 |
| 6.4℃ | 6.5℃ | 5.5℃ | 5.7℃ | 5.1℃ | 5.9℃ | 5.8℃ | 5.7℃ | 5.6℃ | 5.5℃ | 6.5℃ | 6.5℃ | 7.4℃ | 7.4℃ | 8.9℃ | 8.4℃ | 9.9℃ | 9.4℃ | 10.9℃ | 9.5℃ | 9.6℃ | 8.5℃ | 8.0℃ | 7.7℃ | 7.0℃ | 6.7℃ | 6.6℃ | 6.4℃ | 6.4℃ | 6.4℃ | 6.4℃ | 6.4℃ | 6.4℃ | 6.5℃ | 6.6℃ | 6.7℃ | 6.8℃ | 7.0℃ | 7.2℃ | 7.6℃ | 8.1℃ | 8.8℃ | 9.3℃ |
| 0.0mm | 0.0mm | 0.0mm | 0.0mm | 0.0mm | 0.0mm | 0.0mm | 0.0mm | 0.0mm | 0.0mm | 0.0mm | 0.0mm | 0.0mm | 0.0mm | 0.0mm | 0.0mm | 0.0mm | 0.0mm | 0.0mm | 0.0mm | 0.0mm | 0.0mm | 0.0mm | 0.0mm | 0.0mm | 0.0mm | 0.0mm | 0.0mm | 0.0mm | 0.0mm | 0.0mm | 0.0mm | 0.0mm | 0.0mm | 0.0mm | 0.0mm | 0.0mm | 0.0mm | 0.0mm | 0.0mm | 0.0mm | 0.0mm | 0.0mm |
| 12.0m | 13.4m | 13.2m | 12.3m | 11.7m | 11.7m | 12.2m | 13.1m | 14.1m | 14.4m | 14.7m | 14.9m | 14.3m | 13.5m | 14.3m | 14.4m | 14.9m | 15.8m | 15.6m | 16.4m | 17.3m | 17.3m | 17.0m | 17.4m | 17.0m | 16.4m | 16.4m | 17.1m | 17.6m | 17.1m | 17.6m | 17.1m | 17.0m | 17.7m | 17.9m | 17.4m | 17.4m | 18.2m | 18.0m | 17.4m | 17.6m | 17.6m | 17.6m |
| 0.4m | 0.4m | 0.4m | 0.3m | 0.3m | 0.3m | 0.3m | 0.3m | 0.3m | 0.4m | 0.4m | 0.4m | 0.4m | 0.4m | 0.4m | 0.4m | 0.4m | 0.4m | 0.4m | 0.4m | 0.4m | 0.5m | 0.5m | 0.5m | 0.5m | 0.5m | 0.5m | 0.6m | 0.6m | 0.6m | 0.6m | 0.6m | 0.6m | 0.6m | 0.6m | 0.6m | 0.7m | 0.7m | 0.7m | 0.7m | 0.7m | 0.7m | 0.6m |
和歌山県 の週間天気
| 日付 |
|---|
| 天気 |
| 最高 |
| 最低 |
| 降水確率 |
|
3月14日(土)
|
3月15日(日)
|
3月16日(月)
|
3月17日(火)
|
3月18日(水)
|
3月19日(木)
|
|---|---|---|---|---|---|
| 13 ℃ | 14 ℃ | 14 ℃ | 15 ℃ | 16 ℃ | 16 ℃ |
| 7 ℃ | 5 ℃ | 5 ℃ | 5 ℃ | 5 ℃ | 7 ℃ |
| 10 % | 20 % | 20 % | 20 % | 40 % | 50 % |
注意報・警報
平良丸周辺の潮汐
| 満潮 | |
|---|---|
| 干潮 | |
| 日出 | |
| 日没 | |
| 潮名 |