釣りビジョン倶楽部

熊本県」 「天草上島」 「えびすビーチ駐車場」 の釣り場 「宝徳丸」 の施設情報と釣果情報です。 主に 「タイ」 「アジ」 「アコウ」 「チヌ」 「イラ」 等が釣れています。

宝徳丸の釣果情報

  • 2026年1月2日(金)
魚種 匹数 大きさ 重さ 特記 ポイント
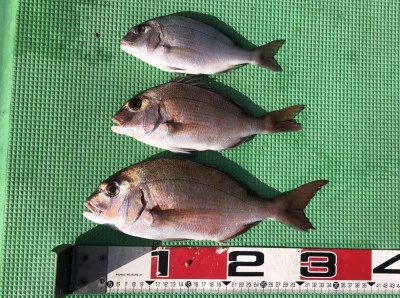
1 タイ 合計 1匹 47 cm
2 タイ 合計 3匹 22~33 cm
宝徳丸の2026年1月2日(金)1枚目の写真
宝徳丸の2026年1月2日(金)2枚目の写真
  • 2025年12月31日(水)
魚種 匹数 大きさ 重さ 特記 ポイント
1 アジ
アコウ
宝徳丸の2025年12月31日(水)1枚目の写真
  • 2025年12月30日(火)
魚種 匹数 大きさ 重さ 特記 ポイント
1 チヌ 合計 2匹 45 cm
タイ 合計 1匹 35 cm
アジ 合計 2匹 31~36 cm
2 アジ 合計 9匹 21 cm
宝徳丸の2025年12月30日(火)1枚目の写真
宝徳丸の2025年12月30日(火)2枚目の写真
  • 2025年12月29日(月)
魚種 匹数 大きさ 重さ 特記 ポイント
1 チヌ 合計 1匹 41 cm
タイ 合計 2匹 25~30 cm
アジ 合計 4匹 22~32 cm
2 イラ
カワハギ
宝徳丸の2025年12月29日(月)1枚目の写真
宝徳丸の2025年12月29日(月)2枚目の写真
  • 2025年12月28日(日)
魚種 匹数 大きさ 重さ 特記 ポイント
1 チヌ
タイ
アジ
2 アジ
宝徳丸の2025年12月28日(日)1枚目の写真
宝徳丸の2025年12月28日(日)2枚目の写真

宝徳丸の店舗情報

施設名 宝徳丸(ホウトクマル)
電話番号090-8229-9800
住所 〒861-6403 熊本県天草市倉岳町宮田2433
リンク 施設のサイトへ
サービス 女性割引 子供割引 クーラー
設備
紹介文 宝徳丸は6基の筏と8隻のカセ船で営業しております。
筏からのダゴチン・サビキ・落とし込み等、お客様各々の釣り方でマダイ・チヌ・アジが狙えます。
時期によってはミズイカやマダコも釣れています。
チャーターの遊漁船も営業していますので、ご希望の方はご相談ください。
営業時間
定休日 無し
各自ご持参ください
割引(サービス) 女性・子供半額
船の設備 ■リール電源:12V×6か所(宝徳丸)
■装備品等:魚群探知機・レーダー・イケス・水洗洋式トイレ・電子レンジ・ポット
宿泊施設 紹介します
駐車場 有り(無料)
備考 筏の予約可能です
注:出船時間や消費税変更等に伴う料金の変更がなされている場合がございます。
詳細については、お電話【090-8229-9800】でお問い合わせください。

宝徳丸での釣行の流れ

<ご予約>

「宝徳丸」は完全予約制の筏ではございませんが、出来るだけ前日午後8時頃までにご予約のお電話をお願いします。
土日は特にご予約の方を優先的に筏へ渡します。
既にご予約いただいている方の出船確認は特に必要はございません。
※極度の悪天候(台風など)でない限りは出船します。
北東の風には若干弱いです。

<受付>

宮田第三トンネルの両側から海の方向へ曲がり、広くなった船着場が目印です。
桟橋から出船しますので、こられた順に送迎致します。
送迎は日の出から日没であればいつでも可能です。

<実釣>

筏までは桟橋から約3~10分です。

<帰港>

渡船料金は帰港してからお支払ください。

宝徳丸の施設写真

宝徳丸へのアクセス

熊本市内から約2時間、松島5号橋から約30分

「えびすびーち」と入力

宝徳丸での釣行プラン・料金

便 名 対象魚 料 金 1 2 3 4 5 6 7 8 9 10 11 12 備考
マダイ マダイ <近場>2,000円 <遠方>3,000円
チヌ チヌ <近場>2,000円 <遠方>3,000円
アジ アジ <近場>2,000円 <遠方>3,000円
ミズイカ ミズイカ <近場>2,000円 <遠方>3,000円
マダコ マダコ <近場>2,000円 <遠方>3,000円
クロ クロ <近場>2,000円 <遠方>3,000円
バリ バリ <近場>2,000円 <遠方>3,000円
カワハギ カワハギ <近場>2,000円 <遠方>3,000円
ヒラメ ヒラメ <近場>2,000円 <遠方>3,000円

宝徳丸周辺の天気

棚底港 1時間毎の天気

日付
時間
天気
気温
雨量
風向き
風速
波向
波高
1月22日(木) 1月23日(金) 1月24日(土)
18 時 19 時 20 時 21 時 22 時 23 時 0 時 1 時 2 時 3 時 4 時 5 時 6 時 7 時 8 時 9 時 10 時 11 時 12 時 13 時 14 時 15 時 16 時 17 時 18 時 19 時 20 時 21 時 22 時 23 時 0 時 1 時 2 時 3 時 4 時 5 時 6 時 7 時 8 時 9 時 10 時 11 時 12 時
0.0℃ 0.8℃ -0.4℃ -0.8℃ -1.0℃ 0.1℃ 0.1℃ 0.2℃ 0.7℃ 0.1℃ 1.0℃ 2.9℃ 3.9℃ 4.1℃ 4.2℃ 5.5℃ 5.9℃ 6.3℃ 6.7℃ 5.1℃ 4.6℃ 3.9℃ 3.3℃ 3.3℃ 3.3℃ 3.2℃ 3.1℃ 3.1℃ 3.0℃ 2.4℃ 2.8℃ 3.0℃ 3.4℃ 3.1℃ 3.0℃ 3.9℃ 4.6℃ 4.7℃ 5.0℃ 5.8℃ 6.5℃ 6.3℃ 6.1℃
0.0mm 0.0mm 0.0mm 0.0mm 0.0mm 0.0mm 0.0mm 0.0mm 0.0mm 0.0mm 0.0mm 0.0mm 0.0mm 0.0mm 0.0mm 0.0mm 0.0mm 0.0mm 0.0mm 0.0mm 0.0mm 0.0mm 0.0mm 0.0mm 0.1mm 0.1mm 0.1mm 0.1mm 0.1mm 0.2mm 0.0mm 0.0mm 0.3mm 0.6mm 0.5mm 0.7mm 0.4mm 0.0mm 0.0mm 0.0mm 0.0mm 0.0mm 0.0mm
9.3m 9.5m 9.3m 8.3m 7.5m 6.8m 6.2m 5.7m 6.3m 8.4m 8.1m 7.4m 6.8m 6.8m 6.9m 6.8m 6.3m 6.0m 6.3m 7.1m 7.1m 6.9m 6.5m 6.0m 5.3m 4.2m 3.3m 2.3m 1.2m 1.4m 2.7m 2.9m 2.0m 3.0m 2.3m 4.5m 7.8m 8.9m 9.6m 11.3m 14.9m 14.6m 14.3m
0.3m 0.3m 0.3m 0.2m 0.2m 0.2m 0.2m 0.2m 0.2m 0.2m 0.2m 0.2m 0.2m 0.2m 0.2m 0.2m 0.2m 0.2m 0.2m 0.2m 0.2m 0.2m 0.2m 0.2m 0.2m 0.2m 0.2m 0.2m 0.2m 0.2m 0.2m 0.2m 0.2m 0.2m 0.2m 0.2m 0.3m 0.3m 0.3m 0.3m 0.3m 0.3m 0.3m

熊本県 の週間天気

日付
天気
最高
最低
降水確率
1月24日(土)
1月25日(日)
1月26日(月)
1月27日(火)
1月28日(水)
1月29日(木)
11 ℃ 10 ℃ 11 ℃ 11 ℃ 12 ℃ 11 ℃
7 ℃ -1 ℃ -2 ℃ 1 ℃ 0 ℃ 0 ℃
50 % 20 % 30 % 50 % 20 % 20 %

注意報・警報

令和8年1月22日21時55分 熊本地方気象台 発表

熊本地方乾燥,低温
阿蘇地方乾燥,低温
天草・芦北地方強風,乾燥
球磨地方乾燥,低温

天草・芦北地方では、強風に注意してください。熊本県では、空気の乾
燥した状態が続くため、火の取り扱いに注意してください。熊本、阿蘇、球
磨地方では、低温に注意してください。

《¶》令和7年11月25日の地震で揺れの大きかった産山村では、大雨警
報・注意報の土壌雨量指数基準を通常より引き下げた暫定基準で運用してい
ます。

熊本市 (継続)乾燥注意報

山鹿菊池 (継続)乾燥注意報、(継続)低温注意報

荒尾玉名 (継続)乾燥注意報

上益城 (継続)乾燥注意報、(継続)低温注意報

宇城八代 (継続)乾燥注意報、(継続)低温注意報

阿蘇地方 (継続)乾燥注意報、(継続)低温注意報

天草地方 (継続)強風注意報、(継続)乾燥注意報、(解除)波浪注意報

芦北地方 (継続)乾燥注意報

球磨地方 (継続)乾燥注意報、(継続)低温注意報

宝徳丸周辺の潮汐

満潮
干潮
日出
日没
潮名