釣りビジョン倶楽部

愛知県」 「知多半島・伊勢湾」 「片名港」 の釣り場 「磯部釣船 直栄丸」 の施設情報と釣果情報です。 主に 「カサゴ」 「ホウボウ」 「ワラサ」 「ヒラメ」 「オニカサゴ」 等が釣れています。

磯部釣船 直栄丸の釣果情報

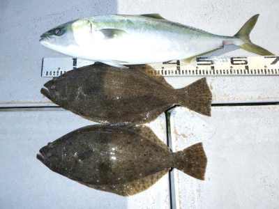
  • 2026年2月27日(金)
魚種 匹数 大きさ 重さ 特記 ポイント
1 カサゴ 伊良湖沖
12人の釣果。
磯部釣船 直栄丸の2026年2月27日(金)1枚目の写真
  • 2026年2月23日(月)
魚種 匹数 大きさ 重さ 特記 ポイント
1 カサゴ 伊良湖沖
ホウボウ
磯部釣船 直栄丸の2026年2月23日(月)1枚目の写真
  • 2026年2月22日(日)
魚種 匹数 大きさ 重さ 特記 ポイント
1 ワラサ 伊良湖沖
ヒラメ
【波】ナギ
12人の釣果。
磯部釣船 直栄丸の2026年2月22日(日)1枚目の写真
  • 2026年2月21日(土)
魚種 匹数 大きさ 重さ 特記 ポイント
1 ヒラメ 大山沖
カサゴ
【波】ナギ
磯部釣船 直栄丸の2026年2月21日(土)1枚目の写真
  • 2026年2月15日(日)
魚種 匹数 大きさ 重さ 特記 ポイント
1 オニカサゴ 大山沖水深150m
【波】ナギ
磯部釣船 直栄丸の2026年2月15日(日)1枚目の写真

磯部釣船 直栄丸の店舗情報

施設名 磯部釣船 直栄丸(イソベツリブネナオエイマル)
電話番号090-8867-3768
住所 〒470-3502 愛知県知多郡南知多町片名郷中 (片名港内)
リンク 施設のサイトへ
サービス 障害者歓迎 貸し道具 氷 クーラー
設備
紹介文 ~ 師崎、片名港出港の釣船 直栄丸 ~

師崎から車で5分、片名港から仕立て船メインで出港しております。
「直栄丸」では、お客様の安全を第一に考えて、親切丁寧をモットーに営業しています。仕立て船の場合はお客様の希望に合わせた釣り物・ポイント選びをします。乗合船の場合は旬の魚を釣りに行きます。

ポイントは港から5分の近場から、伊勢湾全域の大山沖、伊良湖、西度合、瀬木寄瀬、出山など沢山ご用意しております。

楽しい時間が過ごせるように努力しますので、お一人様からご家族、グループの方まで、安心してご利用ください。直栄丸では、海上保険にも加入してますので安心です。皆様のお越しを心より、お待ちしてます。

なお、完全予約制なので事前に電話予約してください。
(自宅電話:0569-63-0824/携帯電話:090-8867-3768)

☆直栄丸の心得☆
一つ、釣れた時は喜んでください。
二つ、釣れない時はボヤいてください。
三つ、それでも釣れない日は魚の勝ちです。
   帰ってミーティングをしましょう。
営業時間
定休日 なし
料金形態 《 料金システム 》
2014年4月1日より消費税の8%増税に伴い、新料金内容へ変更をさせていただきます。

◎大物釣り(3人まで)
・平日36,000円/土日祝日39,000円
・エサ3,000円分、氷付き、1人増えるごとに3,000円増しとなります。

◎ヒラメ釣り(3人まで)
・平日36,000円/土日祝日39,000円/乗合1人13,000円
・エサのイワシは1人/2,000円別途掛かります。

◎イサキ釣り(3人まで)
・平日43,000円/土日祝日46,000円
・アミゴ1枚付き、氷付き、1人増えるごとに3,000円増しとなります。
・定時は港にPM1:00着。
・延長は1時間につき3,000円増しとなります。
・釣り場は大山となりますので新料金より外海料金を含む料金となります。

◎夜マタカ釣り(3人まで/18:00~23:00)
・平日35,000円/土日祝日38,000円/乗合1人11,000円
・6月~お盆まで。

◎中小物釣り(3人まで)
・平日30,000円/土日祝日33,000円
・エサ2,000円分、氷付き、1人増えるごとに3,000円増しとなります。
・定時は港にPM1:00着。
・延長は1時間につき3,000円増しとなります。
※釣り場によって料金が加算されます。下記の外海料金を参考にして下さい。

◎外海料金
・中之島、沖島、遠ノ島……2,000円増
・伊良湖、西度合…………4,000円増
・瀬木寄瀬、出山…………6,000円増
・大山沖……………………8,000円増
・大山沖50ヒロ……………10,000円増

◎コミコミコース
・3人まで75,000円
・エサ付き、氷付き
・1人増えるごとに15,000円増しとなります。
・時間は日の出~日の入りまで、外海料金も含まれています。
氷付き
釣り座の選定 貸切り船はご自由に! ※乗合の場合は相談で決めています。
船の設備 ■リール電源…バッテリーあり ※使用希望者は予約時に申し付け下さい。

【直栄丸】…4.2t 定員10名(釣り物によって乗船人数は変わります。大物は3名ぐらいがベストです)、GPS、魚群探知機、個室トイレ、いけす完備。
宿泊施設 紹介します
釣具レンタル 手巻きリールセット500円
駐車場 あり(無料)
注:出船時間や消費税変更等に伴う料金の変更がなされている場合がございます。
詳細については、お電話【090-8867-3768】でお問い合わせください。

磯部釣船 直栄丸での釣行の流れ

■予約

公式HP内・予約状況ページを確認し、空いている日を電話で予約してください。前日、前々日にお客様の狙いたい魚種に合わせた場所、天気、最近の状況を説明しますので船長と一緒に決めてください。
※基本の出港は決まっていますが、朝早いのが苦手な方など時間を前後できますので、ご相談ください。

■当日・集合

出船30分位前に港乗船場前に集合。
受付けを行います。
※乗合船の場合は乗船料金を先払いで頂きます。

■出船~帰港

乗船時は船長やスタッフの指示に従って下さい。

■帰港後

貸切り船の場合は下船後に料金をお支払い下さい。

磯部釣船 直栄丸の施設写真

磯部釣船 直栄丸へのアクセス

名古屋高速IC → 大高IC → 知多半島道路 → 「豊丘IC」⇒南知多道路終点 豊丘I.C.を出てそのまま師崎方面に向かい2本目の信号(大井西交差点)を左折し、 次の(大井漁港前交差点)を右折して、チッタナポリ(すごく背の高いマンションです)を過ぎたら下り坂になり約200m先左側に片名港への入口がありますがカーブ出口ぞいにあるため、分かりにくいです。入口を入りすぐを右折し約20m先が専用台船の乗船場となります。

店舗住所

磯部釣船 直栄丸での釣行プラン・料金

便 名 対象魚 料 金 1 2 3 4 5 6 7 8 9 10 11 12 備考
マダイ マダイ 貸切り 大物釣り
クロダイ クロダイ 貸切り 大物釣り
マタカ マタカ 貸切り 大物釣り
コチ コチ 貸切り 大物釣り
ヒラメ ヒラメ 貸切り 大物釣り
イサキ イサキ 貸切り 大物釣り
ハマチ ハマチ 貸切り 大物釣り
タコ タコ 貸切り 大物釣り
アジ アジ 貸切り 大物釣り
サバ サバ 貸切り 大物釣り
メバル メバル 貸切り 大物釣り
カサゴ カサゴ 貸切り 大物釣り
アイナメ アイナメ 貸切り 大物釣り
キス キス 貸切り 大物釣り
カレイ カレイ 貸切り 大物釣り
ハゼ ハゼ 貸切り 大物釣り

磯部釣船 直栄丸周辺の天気

片名港 1時間毎の天気

日付
時間
天気
気温
雨量
風向き
風速
波向
波高
4月17日(金) 4月18日(土) 4月19日(日)
18 時 19 時 20 時 21 時 22 時 23 時 0 時 1 時 2 時 3 時 4 時 5 時 6 時 7 時 8 時 9 時 10 時 11 時 12 時 13 時 14 時 15 時 16 時 17 時 18 時 19 時 20 時 21 時 22 時 23 時 0 時 1 時 2 時 3 時 4 時 5 時 6 時 7 時 8 時 9 時 10 時 11 時 12 時
15.0℃ 15.8℃ 15.6℃ 15.6℃ 15.6℃ 14.8℃ 14.8℃ 14.7℃ 14.2℃ 14.8℃ 15.6℃ 16.2℃ 17.1℃ 17.2℃ 18.3℃ 18.8℃ 18.3℃ 19.6℃ 19.7℃ 18.9℃ 18.1℃ 17.3℃ 17.1℃ 17.1℃ 17.1℃ 17.2℃ 17.3℃ 17.0℃ 16.7℃ 16.5℃ 16.4℃ 16.2℃ 16.1℃ 16.0℃ 15.9℃ 15.7℃ 15.4℃ 15.4℃ 15.8℃ 16.4℃ 16.5℃ 16.8℃ 17.1℃
0.0mm 0.0mm 0.0mm 0.0mm 0.0mm 0.0mm 0.0mm 0.0mm 0.0mm 0.0mm 0.0mm 0.0mm 0.0mm 0.0mm 0.0mm 0.0mm 0.0mm 0.0mm 0.0mm 0.0mm 0.0mm 0.0mm 0.0mm 0.0mm 0.0mm 0.0mm 0.0mm 0.0mm 0.0mm 0.0mm 0.0mm 0.0mm 0.0mm 0.0mm 0.0mm 0.0mm 0.0mm 0.0mm 0.0mm 0.0mm 0.0mm 0.0mm 0.0mm
5.3m 5.7m 5.7m 5.9m 5.0m 4.2m 5.1m 6.3m 6.9m 5.7m 6.9m 7.1m 6.8m 6.6m 7.1m 5.4m 2.3m 3.6m 5.6m 5.1m 4.5m 4.2m 5.3m 5.3m 7.4m 6.8m 6.2m 4.5m 3.8m 3.2m 3.0m 2.4m 3.0m 3.5m 3.6m 4.5m 5.0m 5.9m 5.0m 3.0m 2.0m 3.3m 4.7m
0.2m 0.2m 0.2m 0.3m 0.3m 0.3m 0.4m 0.4m 0.4m 0.2m 0.2m 0.2m 0.2m 0.2m 0.2m 0.2m 0.2m 0.2m 0.2m 0.2m 0.2m 0.2m 0.2m 0.2m 0.2m 0.2m 0.2m 0.2m 0.2m 0.2m 0.2m 0.2m 0.2m 0.2m 0.2m 0.2m 0.2m 0.2m 0.2m 0.2m 0.2m 0.2m 0.2m

愛知県 の週間天気

日付
天気
最高
最低
降水確率
4月18日(土)
4月19日(日)
4月20日(月)
4月21日(火)
4月22日(水)
4月23日(木)
4月24日(金)
23 ℃ 24 ℃ 24 ℃ 23 ℃ 24 ℃ 21 ℃ 21 ℃
13 ℃ 12 ℃ 14 ℃ 13 ℃ 11 ℃ 13 ℃ 12 ℃
10 % 10 % 20 % 40 % 20 % 40 % 50 %

注意報・警報

令和8年4月17日16時06分 名古屋地方気象台 発表

西部波浪
東部波浪

愛知県では、高波に注意してください。

尾張東部 発表注意報・警報はなし

尾張西部 発表注意報・警報はなし

知多地域 (継続)波浪注意報

西三河南部 発表注意報・警報はなし

西三河北西部 発表注意報・警報はなし

西三河北東部 発表注意報・警報はなし

東三河北部 発表注意報・警報はなし

東三河南部 (継続)波浪注意報

磯部釣船 直栄丸周辺の潮汐

満潮
干潮
日出
日没
潮名